İlişkili Yazılar
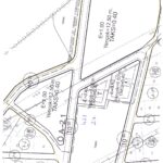
- Fatih Mahallesinde bulunan 904 ada 15 numaralı parselin batısında yer alan terkli alanda Trafo Alanı eklenmesi amaçlı hazırlanan 1/1000 ölçekli Uygulama İmar Planı Değişikliği
Fatih Mahallesinde bulunan 904 ada 15 numaralı parselin batısında yer alan terkli alanda Trafo Alanı eklenmesi amaçlı hazırlanan 1/1000 ölçekli Uygulama İmar Planı Değişikliği






















Siz de fikrinizi belirtin